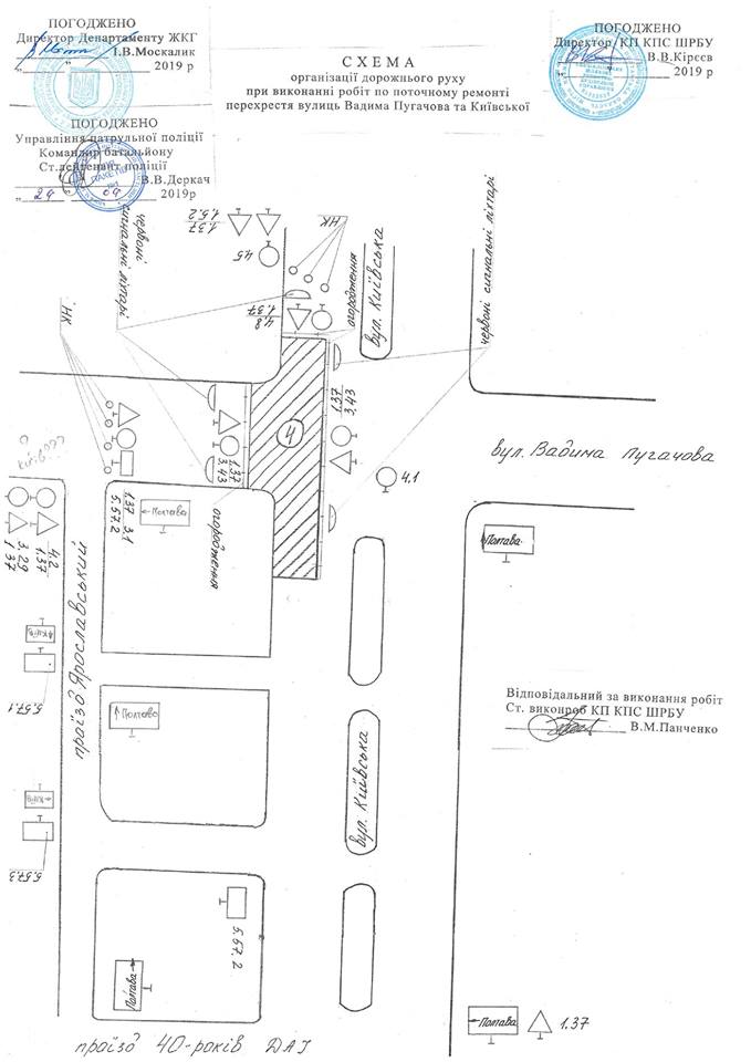
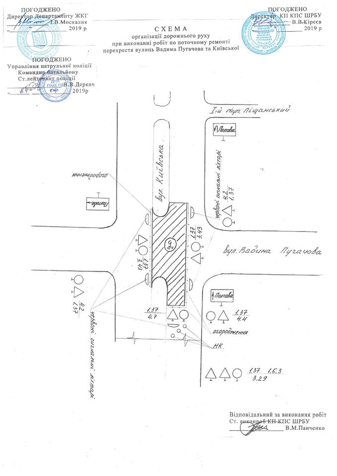
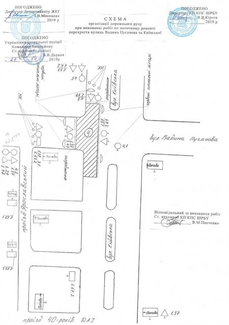
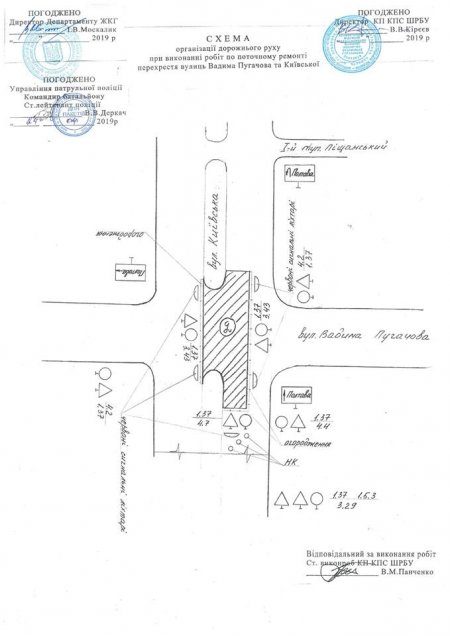
25, 26 та 27 квітня з 20.00 до 6.00 у кременчуці на перехресті вулиць Вадима Пугачова та Київської буде обмежено рух транспорту, повідомляє Департамент ЖКГ.
Причина незручностей – роботи по улаштуванню асфальтобетонного покриття КП «Кременчуцьке підрядне спеціалізоване шляхове ремонтно-будівельне управління».
Рух автотранспорту під час ремонту регулюватимуть патрульні.



