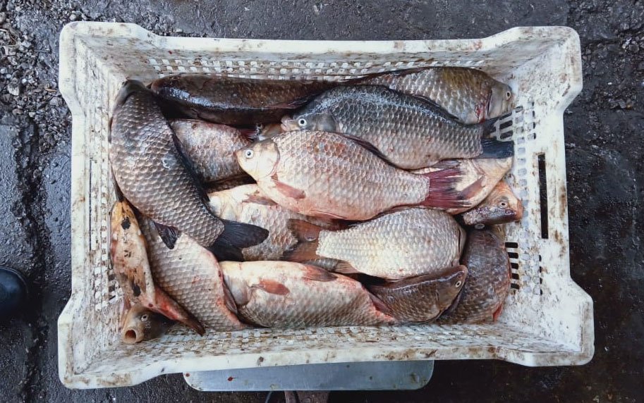
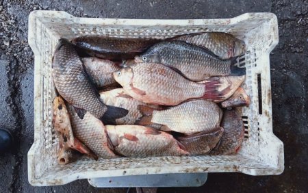
Вчора, 12 квітня, близько 10.00 у селі Опришки 33-річний мешканець Градизька незаконно перевозив на автомобілі УАЗ понад 500 кг риби зі слідами вічкування. Про це повідомили в Головному управлінні Національної поліції у Полтавській області.
Документів на даний вантаж у чоловіка не було. До речі, він вже не вперше потрапляє в поле зору правоохоронців за незаконне перевезення водних біоресурсів. За попередньою оцінкою працівників рибоохоронного патруля, завдані державі збитки становлять понад 1 мільйон гривень.
На чоловіка склали адміністративний протокол за статтею 88-1 (Порушення порядку придбання чи збуту об’єктів тваринного світу) Кодексу України про адміністративні правопорушення.
Крім цього, за даним фактом поліція внесла відомості до Єдиного реєстру досудових розслідувань за частиною 1 статті 249 (Незаконне зайняття рибним промислом, якщо воно заподіяло істотну шкоду) Кримінального кодексу України.
Вилучену рибу передали до рибоприймального пункту, де її реалізують та перерахують кошти до державного бюджету України. Також слідчо-оперативна група вилучила у чоловіка автомобіль.







